Ice cream bean is a fast-growing tree with many uses, including its exotic fruit! The large fruits contain a sweet cottony pulp. The edible pulp is where the “ice cream” name comes from as it has a sweet vanilla taste, sometimes with a cinnamon note, and the texture of cotton candy.
The ice cream bean has many different names in its native region, and indigenous peoples use the tree for a variety of uses. The most common use is to eat the cottony fluff straight from the pod, but it can also be used to sweeten and flavor various foods as well.
Let’s talk more about this fascinating tropical tree and its strange beans filled with sweet fluffy pith. We’ll go over everything you’ll need to grow and care for your own ice cream bean tree!
Good Products At Amazon For Growing Ice Cream Bean:

| Common Name(s) | Ice cream bean, guama, guaba, cuaniquil, and many other names |
| Scientific Name | Inga edulis |
| Days to Harvest | 3 years from a new sapling, 2x a year afterward |
| Light | Full sun to light shade |
| Water: | Needs regular water until established; can tolerate drought to partial flooding once mature |
| Soil | Prefers sandy or loamy well-draining soils. Prefers pH of 5-6.5. |
| Fertilizer | Light potassium if losing leaves |
| Pests | South American fruit fly, pink hibiscus mealybugs |
| Diseases | Basal stem rot; generally very hardy |

The ice cream bean tree, or Inga edulis, has many names in South America. In Bolivia it’s called inga de macao; in Brazil, it’s called inga; in Colombia, it’s guama or guamo. Costa Ricans call it the guaba or monkey tail; Ecuadorians say barisa pacae; in Peru, it’s guabilla or waupa; and in Venezuela, it’s guama or guamo liso.
With so many names, you can tell it’s popular! There are hundreds of species of Inga, and as many as 50 produce edible fruits, each with a slightly different size and taste. While some species, like Inga feuillei, Inga spectabils, and Inga rhynchocalyx are sometimes confused with Inga edulis, these related species have different shapes of pods that they produce. The ice cream bean trees have a long pod, cylindrical in shape, unlike the other species with their flat or triangular pod shapes.
Technically speaking, the ice cream bean is a form of legume despite growing like a tree. It is a fast grower, although it requires older wood for fruiting, and can quickly grow back after being cut. Often, it can even regrow from a stump as a series of new shoots.
The genus Inga grows quickly and is prized in agroforestry in the tropics. Livestock will eat the fruits, the branches are good for timber or nutrient-rich mulch, and the bark is used medicinally. As a fast-growing tree, they can be used to produce dense shade quickly for understory crops such as coffee and chocolate, fix nitrogen in the soil, and reduce erosion. The ability to grow in poor soils is important for farmers who use it in “alley cropping”, where cash and food crops are grown among rows of Inga trees.
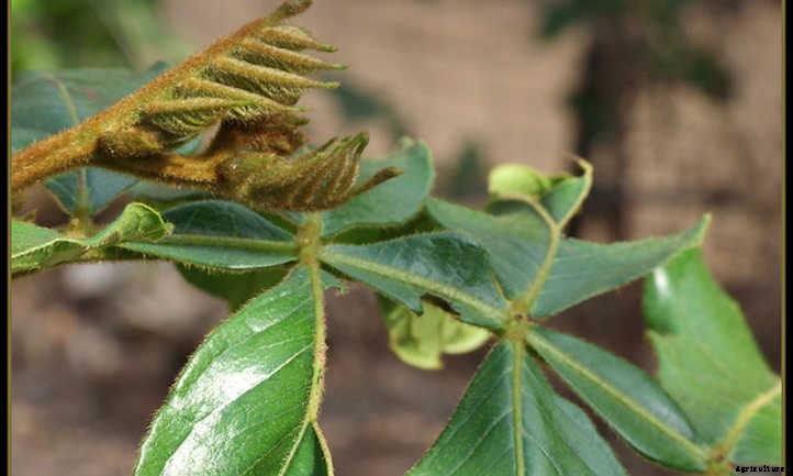
Ice cream bean trees can grow to 98 feet tall, although they are usually around 60 feet tall. They have a broad evergreen canopy with bunches of 4-6 green leaflets. They flower at the end of branches in clusters of small, brush-like white flower tendrils. The major flowering time is from June to October, but in some regions, it flowers as early as March.
The flowers produce pods that can grow up to 3 feet long and range from straight to curved. The pods are then cracked open, revealing an edible pulp. The seeds of Inga edulis are not commonly eaten as they’re very bitter. The pulp is often described as tasting like vanilla ice cream or even a bit like cinnamon, with the texture of cotton candy.

Ice cream beans sprout quickly from seeds, often germinating before the seed pod is even picked from the tree! The seeds lose viability within days, so it’s difficult to obtain seeds outside of their native growing region. Some specialty garden stores are starting to carry Inga edulis seedlings, so we will focus on how to care for your young ice cream bean tree if you are lucky enough to have found one for yourself!
The best seasons to plant are spring and summer when temperatures are warm and stable. Avoid planting in winter unless you are in a growing area where the temperatures are consistently above 50 degrees at night.
When planting, select a location in full sun and enough room for a mature canopy tree. The most important consideration is mature size as it will grow to at least 60 feet tall and can reach heights of 98 feet. Maintain at least a 3-foot weed-free area around your seedling to reduce competition.
If growing in a pot, select a sunny location where the sun can warm the soil. Keep your seedling well watered. If winter temperatures dip below 30 degrees Fahrenheit, bring the potted tree indoors into a sheltered location.

Now, let’s go over the specifics of how to care for your ice cream bean tree. This is a relatively stable tree once established and is prized in the tropics for its ability to survive a wide range of extreme situations. Whether you are growing in a pot or in-ground, the ice cream bean tree is fairly easy to care for!
Ice cream bean trees grow best in full sun, from 8-10 hours per day. The ideal USDA growing zone is 9-11. Growing temperatures should range between 69-82 degrees Fahrenheit.
As far as cold temperatures go, ice cream bean trees will be damaged if the temperatures drop below 30 degrees. Mature in-ground trees may be able to survive a light frost, but temperatures below 28 degrees Fahrenheit can kill them. Protect them as much as possible from cold temperatures.
In cooler weather, the tree will drop its leaves and become semi-deciduous. If your tree is potted, bring it inside near a bright sunny window during the winter.
Water your seedling regularly to help it get established, around 1 inch per week. Water so the top inch of the soil is moist while the seedling is younger than 6 months. Once the tree is more established, you can decrease watering a bit if necessary.
Mature Inga trees are able to withstand periods of prolonged drought, but grow best when they receive regular irrigation. You can water with drip irrigation, soaker hoses, or most other reliable methods of tree watering. As a tropical plant, they can withstand several months of waterlogged soils followed by several months of drought. If you are growing in a pot or in cooler climates, reduce watering in the winter months, but provide additional water when the weather is hot.
Ice cream bean tree is famous as a relative of the legume family for being a nitrogen-fixer. Ice cream beans can be grown in very poor soils, and will actually increase the nutrient content of the soil around them! Leaves that fall or are cut down can be used as a “chop and drop” fertilizer and mulch. Inga grows in soils ranging from poor and sandy soil to rich and loamy, but avoid clay type soils when possible. For a pot, select an organic potting mix that drains well.
Ice cream beans prefer a pH of 5-6.5, but can grow in extremely alkaline or extremely acidic soils if necessary. Aim for a neutral range, but don’t let the soil’s pH prevent you from planting entirely.
You should not need to fertilize an ice cream bean tree very often.
If your tree loses a lot of leaves and it’s not wintertime, you can apply an organic potassium fertilizer like kelp meal. Avoid nitrate forms of nitrogen as the tree is a nitrogen-fixer on its own and doesn’t perform well with nitrates. Occasional applications of compost around the base of the tree can also be beneficial.
Pruning should be done in late winter or early spring. This tree can withstand heavy pruning, and may even be coppiced and used for firewood, although regrowth will take a while and will reduce harvests initially due to its need for older wood to fruit on.
Larger trees will require regular pruning. You should prune the tree so that it has an even canopy structure, with equally spaced branches on all sides. Try to prevent branches from crossing one another in the center of the canopy to allow even distribution of sunlight to the branches.
Fruiting occurs on the tips of branches, so be careful when pruning to not cut off all mature branches at once. It’s best to use very sharp tools when pruning so you get a clean cut, no matter if you’re using loppers or other types of equipment.
If the whole seed pods are available, seeds can be sprouted quickly. The seeds are true to the parent plant, so it will grow the exact same plant type.
It can also be propagated from cuttings placed in coarse sand and watered until they establish roots. However, seeds are the fastest and easiest way to propagate.

Next, let’s cover how to harvest and properly store your fruit. There’s not a lot to it; it’s pretty straightforward and easy!
Harvest the pods when they are plump or when they fall to the ground. Inga trees can grow upwards of 60 feet, so you may need to let the ripe fruits fall to the ground or use a fruit picking device. If necessary, you can cut the pod’s stem if it’s clinging to the tree, but usually they become loose when ripe.
Be sure to pick up any remaining pods that have fallen since the seeds inside will quickly germinate.
The fruit is encased in the hard pods, so this will protect it for up to a week of storage. However, the seeds inside of the pod can sprout quickly, so it’s best to eat ice cream bean when it is ripe. You can also use the pulp to flavor syrups and freeze them for long-term storage, but it’s a very mild flavor.

Now, let’s talk about some of the issues you might encounter when growing ice cream bean trees.
The most common growing problem for growers outside of the tropical Americas is climate. Ice cream bean prefers a year-round tropical or subtropical climate. If the tree gets too cold and dry, it will struggle to grow and produce. If you are growing in a container outside of zones 9-11, keep your plant watered, in bright sunlight, and warm year-round. You may need to pot up yearly to provide enough room for the tree to grow.
Ice cream beans do not have many pests. Strangely enough, they have a symbiotic relationship with some species of ants, and the ants protect the tree against herbivore damage.
The South American fruit fly (Anastrepha fraterculus) can be controlled with cultural practices like removing fallen ripe fruits before resorting to sprays like neem oil. Usually, these don’t go after closed pods, only ones that are broken open on the ground. Removing fallen pods keeps them mostly in check.
The pink hibiscus mealybug (Maconellicoccus hirsutus) can be removed by wiping them off with a damp cloth or a cotton swab dipped in rubbing alcohol. You can also blast them off with a hose or spray with neem oil to smother them.
Basal rot and other fungi can sometimes cause issues in humid climates, but the tree is very resistant to most diseases, especially when properly cared for. Keep your plants healthy and they should not experience problems from pests or diseases!

Q: How long does it take for an ice cream bean tree to fruit?
A: From planting, ice cream bean tree should fruit within 3 years.
Q: What does ice cream bean taste like?
A: It is sweet and tastes like vanilla ice cream. Some varieties have a hint of cinnamon, almost like the flavor of a very mild horchata.
Q: How do you eat ice cream beans?
A: Crack open the pod lengthwise, pull out the white pulp and suck on it, spitting out the hard seed.