5 Steps to Growing Philodendron Scandens
- Select a suitable sized pot with good drainage
- Add a layer of indoor plant mix to plant into
- Choose a spot in bright, indirect or florescent light
- When watering, ensure the soil is kept lightly moist
- Apply a general purpose fertiliser once a month
Follow our full guide and plant care tips to growing Philodendron Scandens below.

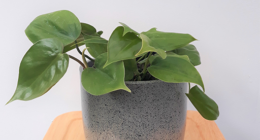
Philodendron Scandens, also known as the Heartleaf Philodendron due to the beautiful heart shape it's leaves lend themselves to. It's a vining philodendron and can grow to great lengths if potted in a hanging pot or placed on a tall shelf.
Philodendron Scandens are fast growers and can grow up to 4 metres in length.
If you want to keep them nice and bushy, pinching out the stems is key. Always pinch after a leaf node (the place where a leaf is attached to the stem). A new stem will grow from that node.
prepare
The better the soil, the better your indoor plants will grow. Healthy soil is especially important when growing in a limited area. Choose a potting mix that is free draining like Tui Indoor Plant Mix, specially formulated with the right blend of nutrients to give your indoor plants in pots and containers the best start.
Select a container that is a suitable size for your plants. Ensure the container has enough capacity to house the roots of the plants you want to grow. Drainage is also essential, so keep this in mind when choosing your perfect pot.
plant
Check plant labels for individual planting instructions.
- Water plants thoroughly before potting and allow to drain.
- Partly fill your container with Tui Indoor Plant Mix.
- Gently take the plant from the current container, loosen the root ball and remove any loose or dead plant material and roots.
- Position the plant in the centre of the new container and fill with Tui Indoor Plant Mix up to 3cm from the top.
- Gently firm the mix around the plant. The mix should be at the same level on the plant as it was in the previous container.
- Water your plant well.
Light
The right plant in the right place is the secret to healthy indoor plants. Heartleaf Philodendrons will do best in bright but indirect sunlight. Intense sunlight should be avoided as this can burn the leaves. It will also do well under bright fluorescent light, so ideal for an office space and can tolerate shady spots too.
nourish
Watering
Water Philodendron Scandens enough during spring and summer so that the soil is kept lightly moist. Allow the soil to dry out between watering in the cooler months.
Feeding
Tui Indoor Plant Mix contains a starter fertiliser to provide instant nutrients and prevent transplant shock, along with a controlled release fertiliser for sustained feeding for up to six months, however continuing to replenish nutrients will ensure your plants remain healthy. Sansevierias aren't very heavy feeders, apply a general purpose fertiliser like Tui Enrich Pour & Feed Indoor Plant Liquid Fertiliser once a month during spring and summer, or for a sustained feed for up to 6 months use Tui Enrich Pots & Containers.
Common problems
Overwatering is a common problem with Philodendrons and can cause the leaves to yellow.
Well nourished and cared for plants will be more resilient to common problems including temperature fluctuations, pests and diseases.
Pet friendly
This plant is considered toxic, so keep away from pets or small children.
Back to indoor plant guides