Welcome to Modern Agriculture!
home

Potatoes (Maincrop) Growing Guide

Potatoes (Maincrop) Growing Guide

Crop Rotation Group

Solanaceae (Potato and tomato family) ●

Soil

Fertile, well drained soil that has not been amended with manure for at least 6 months.

Position

Full sun.

Frost tolerant

No.

Feeding

Not usually required if plants are deeply mulched with straw, grass clippings, rotted leaves, or another organic mulch.

Companions

Basil, Beans, Eggplant, Marigold, Peas, Squash, Tansy, Horseradish, Cabbage and Catnip.

Spacing

Single Plants: 1' 5" (45cm) each way (minimum)
Rows: 1' 1" (35cm) with 2' 5" (75cm) row gap (minimum)

Sow and Plant

Grow from sprouting potatoes or seed potatoes, cut into chunks so that each piece has 2 growing "eyes," or sprouts. Let the cut pieces dry for a day before planting 3 inches deep.
Our Garden Planner can produce a personalized calendar of when to sow, plant and harvest for your area.

Notes

Try different types with red, tan or purple skins, but avoid big baking potatoes, which require a long, cool season. Keep potatoes mulched to protect shallow tubers from sun, which turns them green and bitter.

Harvesting

When the plants begin to bloom, feel under the mulch for little new potatoes. Harvest often as the plants begin to die back. Gather potatoes on a cloudy day, and cover them to protect them from exposure to light.

Troubleshooting

Yellow-and-black Colorado potato beetles lay eggs on leaf undersides, which hatch into fat red leaf- and flower-eating larvae. Use row covers to exclude them or hand pick off.

Pests which Affect Potatoes (Maincrop)

Potatoes (Maincrop) Growing Guide

Aphids (General)

Potatoes (Maincrop) Growing Guide

Colorado Potato Beetle

Potatoes (Maincrop) Growing Guide

Flea Beetle

Potatoes (Maincrop) Growing Guide

Slug

Potatoes (Maincrop) Growing Guide

Snail

Potatoes (Maincrop) Growing Guide

Spider Mite

Potatoes (Maincrop) Growing Guide

Wireworm

Plant Diseases which Affect Potatoes (Maincrop)

Potatoes (Maincrop) Growing Guide

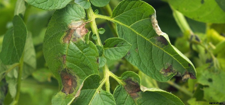
Late Blight

Potatoes (Maincrop) Growing Guide

Verticillium Wilt

Modern Agriculture
Planting