From aphids to snails to cabbage moths, the list of pests that gardeners need to battle is a long one. But there's another plentiful garden insect which seems to inspire stronger emotions than most other foes.
The sight of earwigs scuttling around can shock some people even more than traditional dangers such as spiders and snakes. It's assumed that these insects are unwelcome pests to be removed. Is this really the truth, or should gardeners take a much more relaxed view of the humble earwig?
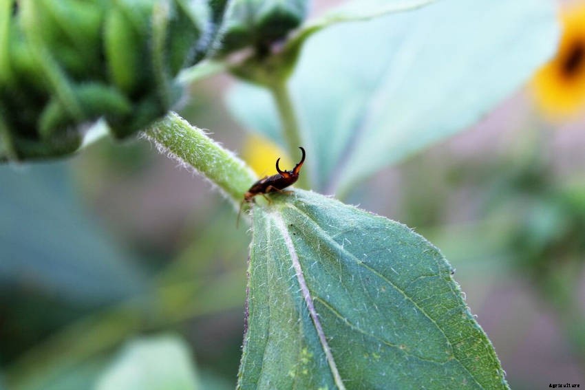
About the Earwig
There are around 85 known species of earwig in Australia, some native and others introduced from elsewhere. Depending on the species, they can vary from around 12mm in length up to double that size.
The most distinctive feature of the earwig is the pair of pincers or forceps at their rear, balanced by long segmented antennae at the front. In males, the pincers tend to be larger and curved, while in females they're shorter and straighter.
Despite their alien and even slightly ferocious appearance, earwigs are almost entirely harmless. The traditional tales of them crawling into sleeping people's ears to lay eggs in their brains are, not surprisingly, completely false.
Some species can produce a foul-smelling liquid as a defence, but this is unpleasant rather than toxic or venomous. Under extreme provocation, the largest specimens may be able to give humans a gentle nip with their pincers, but in the league table of insect dangers, earwigs hardly feature at all.
Earwigs are largely nocturnal, preferring damp and dark conditions. In the garden, this means they're likely to be found in rotting woodpiles, under containers, in leaf litter, and other similar places.
And lastly, although earwigs have wings, they don't tend to fly if they can avoid it. You're much more likely to see them scurrying for the shade than spreading their wings to colonise your garden.
Hunters and Scavengers
Earwigs will eat pretty much anything, being both opportunistic scavengers and occasional predators. In both cases, they play an important role in the garden.
They're part of the waste control system that recycles organic debris, converting them into fertile soil. And as foraging for pollen is a major feeding habit, they're an important plant pollinator, although they do this at night and are less often seen.
As predators, they like to feed on aphids, juvenile snails, and other common pests, keeping numbers down naturally. They also target the larvae of the codling moth, a voracious pest that attacks pears, apples, and other fruits.
In turn, earwigs provide a welcome food source for birds, amphibians, reptiles, and even domestic poultry. All said, they play an important role in a healthy, balanced garden ecosystem.
The Problems They Cause
However, earwigs aren't always a fully welcome guest in a garden. Their fondness for ripe fruit can cause extensive cosmetic damage, although complete destruction is rare. Commercially, the biggest danger earwigs offer is from the insects being found in a crop after harvest, rather than any excessive damage through feeding.
More generally, earwigs can chew ragged holes in the leaves of herbs and other soft plants, sometimes shredding the growing tips, and in rarer cases completely stripping the foliage from small plants. They're much more of a risk to seedlings than any mature plant.
Handling an Infestation
Most gardens will contain an earwig population of some size. Full infestations take several generations to build up, and rarely become a major problem under normal conditions. Numbers normally only get out of hand in unusually damp and cool years, or in areas of extreme monoculture with few natural predators.
But if you find the population is reaching infestation levels, and the damage is outweighing the benefits the insects bring, there are several ways of keeping earwigs under control.
Remove Attractive Habitats
As noted, earwigs love dark and dank places where they can hide from sunlight. Keeping rotting wood and leaf piles well away from vulnerable plants is a good first step for controlling numbers without resorting to more aggressive methods.
Newspaper Traps
But if you need something more proactive, newspaper traps are an eco-friendly but effective solution.
Lightly dampen a sheet of newspaper, roll it up into a hollow tube, and secure with string. This forms a cosy, dark refuge for the insects during the day. While they're napping, you can simply remove the entire roll, inhabitants and all, and place it in your compost bin or dispose of more permanently.
This method is ideal for removing earwigs from selected areas, protecting target plants without harming the overall population.
Corrugated Cardboard Traps
A sturdier variation on the newspaper theme is to make tubes from rolled-up corrugated cardboard. These traps resemble the familiar 'bee hotel' products, and provide snug sleeping places for dozens of insects at a time.
These traps are strong enough to be tied to fruit tree branches, collecting the earwigs before they cause too much damage to the ripening fruit. They should be collected and replaced weekly, again disposing of the earwig bounty however you wish.
Oil Pit Traps
If your garden's population is running out of control, a more decisive trapping method is perhaps a better solution. Take a small container with a lid, and half-fill with cooking oil plus a little soy sauce for added fragrance. Cut a small entry hole in the lid, seal the container, and bury it so the lid is level with the soil surface.
The earwigs will be lured into the oil, from which there is no escape. Although this method is lethal, it is also highly selective: almost no other insect will deliberately enter the trap, so innocent victims are rare.
(Slug and snail traps can be used for this method.)
Sticky Traps
As with many other insect pests, a simple sticky trap is enough to deal with earwigs. Spread a gluey substance such as Vaseline across a piece of thick card, dose with a little sugar as a lure, and leave temptingly around the plants which are under attack.
As the earwigs make for for the sugar, they become trapped on the sticky surface. Unfortunately, many other insects will meet the same fate, including other beneficial ones such as ladybirds, so use with caution.
Diatomaceous Earth
A last organic solution to consider is diatomaceous earth. This is a natural substance made from tiny fossils of ancient aquatic organisms, and viewed from an insect's scale it resembles shards of broken glass.
When spread around the base of plants, it forms a sharp and uncrossable barrier that keeps earwigs and other insects from attacking. However, it's harmless to larger animals, as well as being completely non-toxic and non-polluting.
Diatomaceous earth's effectiveness falls over time as it becomes damp and mixes with the surrounding soil, and so should be reapplied regularly.
Insecticides
Insecticides can be used as a last resort, but in most cases will also harm other beneficial insects besides earwigs. If you choose this option, use a plant-derived product rather than a synthetic one. These generally have fewer side effects and will break down more quickly to keep environmental damage to a minimum.
Effective as all these options are, earwigs are mostly a benign and often beneficial presence in your garden. Unless you have a serious infestation causing real problems, live and let live is perhaps the best long-term approach, however instinctively shocking the insect's appearance may be.




